
5 Beds
3 Baths
2,849 SqFt
5 Beds
3 Baths
2,849 SqFt
Key Details
Property Type Single Family Home
Sub Type Single Family Residence
Listing Status Active
Purchase Type For Sale
Square Footage 2,849 sqft
Price per Sqft $196
Subdivision Cedar Pines Park (Cepp)
MLS Listing ID IG25200709
Bedrooms 5
Full Baths 3
HOA Y/N No
Year Built 1994
Lot Size 1.136 Acres
Property Sub-Type Single Family Residence
Property Description
A Private and Charming home in the Forest
This diamond in the rough is located in one of the best neighborhoods in Cedarpines Park. You enter through a large, covered deck that looks over the yard. The open concept living room-dining room combo has an attractive rock fireplace focal point with shelves on either side. The kitchen is huge and includes a double oven, center island and stainless appliances. On the main level there are two bedrooms that are down a hall that could be a private suite. Plus, a large laundry room. Upstairs are the rest of the bedrooms and a family room. The primary bedroom is huge and has its own wood stove, full bath and large walk-in closet.
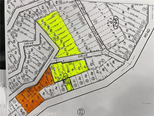
The seller is selling many parcels together. The house sits on Parcel 1 It has a stout fence and is near level. Plus dual access from either Garden Drive or Sawpit Creek. Parcel 2 is across the street on Garden, it is where the horizontal well sits. Parcel 3 is vacant land next to the fenced area. The two lots in this parcel are 19,423 sf. All the land together is a total of 71,721 sf. Perfect for horses or just as a large quiet home in the forest.
Location
State CA
County San Bernardino
Area 286 - Crestline Area
Rooms
Main Level Bedrooms 2
Interior
Interior Features Ceramic Counters, Living Room Deck Attached, Open Floorplan, Pantry, Bedroom on Main Level, Walk-In Closet(s)
Heating Central
Cooling None
Fireplaces Type Living Room, Primary Bedroom
Fireplace Yes
Laundry Laundry Room
Exterior
Garage Spaces 2.0
Garage Description 2.0
Pool None
Community Features Dog Park, Hiking, Lake, Mountainous, Near National Forest
View Y/N Yes
View Trees/Woods
Total Parking Spaces 2
Private Pool No
Building
Lot Description Lot Over 40000 Sqft
Dwelling Type House
Story 2
Entry Level Two
Sewer Septic Tank
Water Well
Level or Stories Two
New Construction No
Schools
School District Rim Of The World
Others
Senior Community No
Tax ID 0341242760000
Acceptable Financing Conventional
Listing Terms Conventional
Special Listing Condition Standard

GET MORE INFORMATION








